Warning: include_once(/home/users/2/viscadomain-21/web/doushin-amc.jp/test2301/blog/wp-content/themes/doushin-blog/../init.php): failed to open stream: No such file or directory in /home/users/2/viscadomain-21/web/doushin-amc.jp/test2301/blog/wp-content/themes/doushin-blog/header.php on line 6
Warning: include_once(): Failed opening '/home/users/2/viscadomain-21/web/doushin-amc.jp/test2301/blog/wp-content/themes/doushin-blog/../init.php' for inclusion (include_path='.:/usr/local/php/7.4/lib/php') in /home/users/2/viscadomain-21/web/doushin-amc.jp/test2301/blog/wp-content/themes/doushin-blog/header.php on line 6
Warning: Use of undefined constant ROOTPATH - assumed 'ROOTPATH' (this will throw an Error in a future version of PHP) in /home/users/2/viscadomain-21/web/doushin-amc.jp/test2301/blog/wp-content/themes/doushin-blog/header.php on line 12
Warning: include_once(ROOTPATHassets/inc/gtm_head.html): failed to open stream: No such file or directory in /home/users/2/viscadomain-21/web/doushin-amc.jp/test2301/blog/wp-content/themes/doushin-blog/header.php on line 12
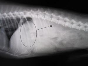
Warning: include_once(): Failed opening 'ROOTPATHassets/inc/gtm_head.html' for inclusion (include_path='.:/usr/local/php/7.4/lib/php') in /home/users/2/viscadomain-21/web/doushin-amc.jp/test2301/blog/wp-content/themes/doushin-blog/header.php on line 12 胃内異物除去1 | 同心動物医療センター
Warning: Use of undefined constant ROOTPATH - assumed 'ROOTPATH' (this will throw an Error in a future version of PHP) in /home/users/2/viscadomain-21/web/doushin-amc.jp/test2301/blog/wp-content/themes/doushin-blog/header.php on line 64
Warning: include_once(ROOTPATHassets/inc/header.html): failed to open stream: No such file or directory in /home/users/2/viscadomain-21/web/doushin-amc.jp/test2301/blog/wp-content/themes/doushin-blog/header.php on line 64
Warning: include_once(): Failed opening 'ROOTPATHassets/inc/header.html' for inclusion (include_path='.:/usr/local/php/7.4/lib/php') in /home/users/2/viscadomain-21/web/doushin-amc.jp/test2301/blog/wp-content/themes/doushin-blog/header.php on line 64
Warning: Use of undefined constant ROOTPATH - assumed 'ROOTPATH' (this will throw an Error in a future version of PHP) in /home/users/2/viscadomain-21/web/doushin-amc.jp/test2301/blog/wp-content/themes/doushin-blog/footer.php on line 9
Warning: include(ROOTPATHassets/inc/footer.html): failed to open stream: No such file or directory in /home/users/2/viscadomain-21/web/doushin-amc.jp/test2301/blog/wp-content/themes/doushin-blog/footer.php on line 9
Warning: include(ROOTPATHassets/inc/footer.html): failed to open stream: No such file or directory in /home/users/2/viscadomain-21/web/doushin-amc.jp/test2301/blog/wp-content/themes/doushin-blog/footer.php on line 9
Warning: include(): Failed opening 'ROOTPATHassets/inc/footer.html' for inclusion (include_path='.:/usr/local/php/7.4/lib/php') in /home/users/2/viscadomain-21/web/doushin-amc.jp/test2301/blog/wp-content/themes/doushin-blog/footer.php on line 9