Warning: include_once(/home/users/2/viscadomain-21/web/doushin-amc.jp/test2301/blog/wp-content/themes/doushin-blog/../init.php): failed to open stream: No such file or directory in /home/users/2/viscadomain-21/web/doushin-amc.jp/test2301/blog/wp-content/themes/doushin-blog/header.php on line 6

Warning: include_once(): Failed opening '/home/users/2/viscadomain-21/web/doushin-amc.jp/test2301/blog/wp-content/themes/doushin-blog/../init.php' for inclusion (include_path='.:/usr/local/php/7.4/lib/php') in /home/users/2/viscadomain-21/web/doushin-amc.jp/test2301/blog/wp-content/themes/doushin-blog/header.php on line 6

Warning: Use of undefined constant ROOTPATH - assumed 'ROOTPATH' (this will throw an Error in a future version of PHP) in /home/users/2/viscadomain-21/web/doushin-amc.jp/test2301/blog/wp-content/themes/doushin-blog/header.php on line 12

Warning: include_once(ROOTPATHassets/inc/gtm_head.html): failed to open stream: No such file or directory in /home/users/2/viscadomain-21/web/doushin-amc.jp/test2301/blog/wp-content/themes/doushin-blog/header.php on line 12

Warning: include_once(): Failed opening 'ROOTPATHassets/inc/gtm_head.html' for inclusion (include_path='.:/usr/local/php/7.4/lib/php') in /home/users/2/viscadomain-21/web/doushin-amc.jp/test2301/blog/wp-content/themes/doushin-blog/header.php on line 12
食道内異物除去2 | 同心動物医療センター

Warning: Use of undefined constant ROOTPATH - assumed 'ROOTPATH' (this will throw an Error in a future version of PHP) in /home/users/2/viscadomain-21/web/doushin-amc.jp/test2301/blog/wp-content/themes/doushin-blog/header.php on line 64

Warning: include_once(ROOTPATHassets/inc/header.html): failed to open stream: No such file or directory in /home/users/2/viscadomain-21/web/doushin-amc.jp/test2301/blog/wp-content/themes/doushin-blog/header.php on line 64

Warning: include_once(): Failed opening 'ROOTPATHassets/inc/header.html' for inclusion (include_path='.:/usr/local/php/7.4/lib/php') in /home/users/2/viscadomain-21/web/doushin-amc.jp/test2301/blog/wp-content/themes/doushin-blog/header.php on line 64

CATEGORY : 内視鏡

食道内異物除去2

ペキニーズ ♂ 3か月 2.65kg

砂ぎもを食べてえづいているとのことで来院。レントゲンにより食道内異物を確認。内視鏡により除去した。

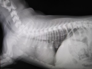
術前

術前のレントゲンです。

食道に異物がつまっています。

IMG_5039

食道に砂ぎもがつまっています。

IMG_5041

内視鏡で砂ぎもを胃に押し込みました。

食道内に異物はなくなっています。

術後

術後のレントゲンです。

食道内異物はなくなりました。


Warning: Use of undefined constant ROOTPATH - assumed 'ROOTPATH' (this will throw an Error in a future version of PHP) in /home/users/2/viscadomain-21/web/doushin-amc.jp/test2301/blog/wp-content/themes/doushin-blog/footer.php on line 9

Warning: include(ROOTPATHassets/inc/footer.html): failed to open stream: No such file or directory in /home/users/2/viscadomain-21/web/doushin-amc.jp/test2301/blog/wp-content/themes/doushin-blog/footer.php on line 9

Warning: include(ROOTPATHassets/inc/footer.html): failed to open stream: No such file or directory in /home/users/2/viscadomain-21/web/doushin-amc.jp/test2301/blog/wp-content/themes/doushin-blog/footer.php on line 9

Warning: include(): Failed opening 'ROOTPATHassets/inc/footer.html' for inclusion (include_path='.:/usr/local/php/7.4/lib/php') in /home/users/2/viscadomain-21/web/doushin-amc.jp/test2301/blog/wp-content/themes/doushin-blog/footer.php on line 9