Warning: include_once(/home/users/2/viscadomain-21/web/doushin-amc.jp/test2301/blog/wp-content/themes/doushin-blog/../init.php): failed to open stream: No such file or directory in /home/users/2/viscadomain-21/web/doushin-amc.jp/test2301/blog/wp-content/themes/doushin-blog/header.php on line 6

Warning: include_once(): Failed opening '/home/users/2/viscadomain-21/web/doushin-amc.jp/test2301/blog/wp-content/themes/doushin-blog/../init.php' for inclusion (include_path='.:/usr/local/php/7.4/lib/php') in /home/users/2/viscadomain-21/web/doushin-amc.jp/test2301/blog/wp-content/themes/doushin-blog/header.php on line 6

Warning: Use of undefined constant ROOTPATH - assumed 'ROOTPATH' (this will throw an Error in a future version of PHP) in /home/users/2/viscadomain-21/web/doushin-amc.jp/test2301/blog/wp-content/themes/doushin-blog/header.php on line 12

Warning: include_once(ROOTPATHassets/inc/gtm_head.html): failed to open stream: No such file or directory in /home/users/2/viscadomain-21/web/doushin-amc.jp/test2301/blog/wp-content/themes/doushin-blog/header.php on line 12

Warning: include_once(): Failed opening 'ROOTPATHassets/inc/gtm_head.html' for inclusion (include_path='.:/usr/local/php/7.4/lib/php') in /home/users/2/viscadomain-21/web/doushin-amc.jp/test2301/blog/wp-content/themes/doushin-blog/header.php on line 12
子宮卵巣切除術(子宮蓄膿症) | 同心動物医療センター

Warning: Use of undefined constant ROOTPATH - assumed 'ROOTPATH' (this will throw an Error in a future version of PHP) in /home/users/2/viscadomain-21/web/doushin-amc.jp/test2301/blog/wp-content/themes/doushin-blog/header.php on line 64

Warning: include_once(ROOTPATHassets/inc/header.html): failed to open stream: No such file or directory in /home/users/2/viscadomain-21/web/doushin-amc.jp/test2301/blog/wp-content/themes/doushin-blog/header.php on line 64

Warning: include_once(): Failed opening 'ROOTPATHassets/inc/header.html' for inclusion (include_path='.:/usr/local/php/7.4/lib/php') in /home/users/2/viscadomain-21/web/doushin-amc.jp/test2301/blog/wp-content/themes/doushin-blog/header.php on line 64

CATEGORY : 軟部外科

子宮卵巣切除術(子宮蓄膿症)

雑種犬 ♀ 9才11か月 13.5kg

食欲がなく、嘔吐・下痢をしているとのことで来院。検査の結果、子宮蓄膿症が疑われ、手術により子宮卵巣を摘出した。

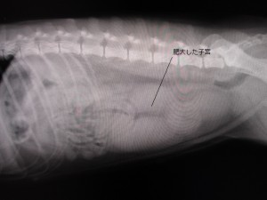
術前レントゲン

術前のレントゲンです。

明らかに子宮が肥大しています。

子宮蓄膿症

術中のレントゲンです。

肥大した子宮が出てきました。

摘出後、穿刺してみると中に膿がたまっていました。


Warning: Use of undefined constant ROOTPATH - assumed 'ROOTPATH' (this will throw an Error in a future version of PHP) in /home/users/2/viscadomain-21/web/doushin-amc.jp/test2301/blog/wp-content/themes/doushin-blog/footer.php on line 9

Warning: include(ROOTPATHassets/inc/footer.html): failed to open stream: No such file or directory in /home/users/2/viscadomain-21/web/doushin-amc.jp/test2301/blog/wp-content/themes/doushin-blog/footer.php on line 9

Warning: include(ROOTPATHassets/inc/footer.html): failed to open stream: No such file or directory in /home/users/2/viscadomain-21/web/doushin-amc.jp/test2301/blog/wp-content/themes/doushin-blog/footer.php on line 9

Warning: include(): Failed opening 'ROOTPATHassets/inc/footer.html' for inclusion (include_path='.:/usr/local/php/7.4/lib/php') in /home/users/2/viscadomain-21/web/doushin-amc.jp/test2301/blog/wp-content/themes/doushin-blog/footer.php on line 9