
今日は手術の解説をします。
当院ではいろいろな手術をしていますが、
今回は食道にジャーキーがひっかかった
症例を紹介します。
チワワ(1才2か月、2.85kg)が嘔吐を主訴にやって来ました。
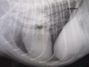
術前のレントゲンです。
食道内に異物があります。
このような場合、内視鏡が適応になります。
内視鏡で異物を除去してる所です。
ジャーキーが滞留しているのがわかります。
異物を除去した所。
胃の入口が見えます。
食道壁が少し痛んでいるのがわかります。
術後のレントゲンです。
食道内の異物はなくなりました。
ワンちゃんも元気に退院していきました♪
ガムやジャーキーを飲み込むクセのある子は
注意してくださいね。




